来源:西安晚报 时间:2025-12-19 07:35:55 编辑:张进 版权声明
“全民支招 畅行长安”开门治堵主题活动开展以来,持续聚焦市民反映强烈的交通拥堵点段,精准施策、靶向发力。12月18日,记者了解到第四批10处群众反映强烈的拥堵点段改造方案已出炉,快来看看有没有您反映的问题。
点位1:雁塔北路与环城南路交叉口

雁塔北路与环城南路交叉口
存在问题:该交叉口早、晚高峰期间潮汐车流特征显著,方向性拥堵问题突出,单向通行能力无法满足实际交通需求;现有车道划分模式固定,难以灵活适配潮汐车流变化,导致道路资源配置失衡,路口整体通行效率低下。
改造方案:设置潮汐车道,配套完善相关交通信号、标志标线等设施。

小寨东路与红小巷交叉口
点位2:小寨东路与红小巷交叉口
存在问题:高峰时段“Z”字形慢行过街通道制约过街效率,导致大量行人非机动车滞留路中。
改造方案:调整慢行过街通道形式,并迁移至路口东侧。

西影路与西延路交叉口
点位3:西影路与西延路交叉口
存在问题:畸形交叉口且路口空间大,车辆通行路径不明确,慢行过街距离长;大型商业体的交通强吸引易引发车辆排队。
改造方案:增设“慢行一体化”转角交通岛;在保证主线车道数与上游匹配的基础上,采用隔离设施设置排队专用通道。

凤城二路与渭滨街交叉口
点位4:凤城二路与渭滨街交叉口
存在问题:公交车辆与社会车辆混行交织,缺乏公交优先通行引导设施;车辆掉头缺乏明确标志指引与专属通行空间,转向秩序混乱;非机动车待行区域缺失,与机动车在路口通行冲突严重。
改造方案:增设公交优先通行提示标志及配套引导设施;设置掉头指引标志及专属掉头区域;划设非机动车前置待行区。

枣园东路与大庆路交叉口(丝绸之路群雕路口)
点位5:枣园东路与大庆路交叉口(丝绸之路群雕路口)
存在问题:路口通行空间过宽,导致车辆通行轨迹无序、行驶速度过快;行人过街距离过长,且缺乏中途安全驻足区域;非机动车通行路权界定不清晰,与机动车混行现象突出;地面交通标志及分道指引缺失,车道功能定位模糊,路口整体通行秩序与安全保障能力不足。
改造方案:增设行人二次过街安全岛;设置地面导向文字标识与分车道指示标志,完善路口交通引导系统。

桃园路与大庆路交叉口
点位6:桃园路与大庆路交叉口
存在问题:南北向交通流线(尤其是左转车流)存在通行冲突或绕行情况;非机动车通行路权不清晰,与机动车混行现象突出;交通标志标线系统不完善,未能有效实现不同流向车流的分离与引导,导致路口通行秩序紊乱、通行效率偏低。
改造方案:实施南北向左转逆置交通组织方式;明确非机动车通行路权,完善相关交通标志标线。

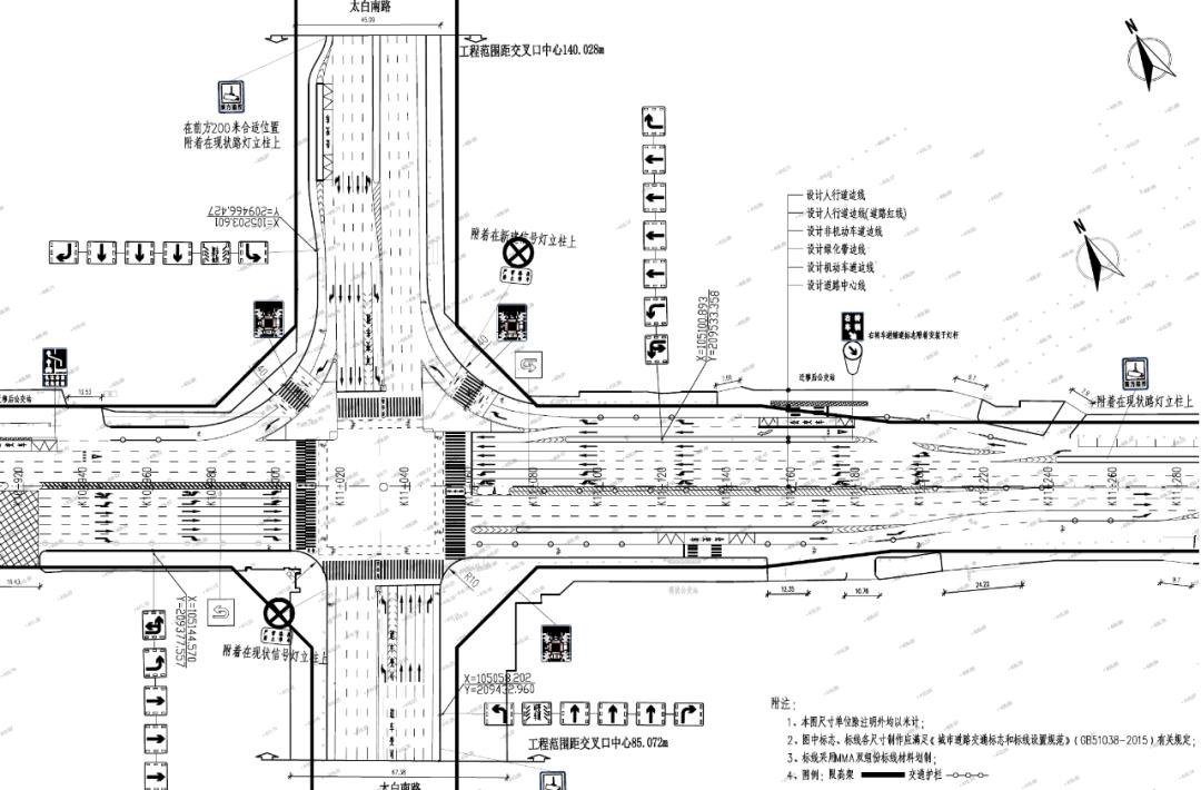
科技路与太白南路交叉口
点位7:科技路与太白南路交叉口
存在问题:行人过街距离长、无中途驻足空间;交通标志标线设置不完善;公交车辆进出站与社会车辆通行交织干扰。导致路口通行效率低,交通安全隐患突出。
改造方案:增设“慢行一体化”转角交通岛;增设“可变车道”;改造“港湾式”公交站。

丰业大道与天章大道交叉口
点位8:丰业大道与天章大道交叉口
存在问题:路口通行空间过宽,行人过街距离过长且缺乏中途安全驻足区域;非机动车通行路权界定不清晰,与机动车混行冲突频发;车道导向标识及公交停靠标线设置不规范,缺乏可变车道应对潮汐车流变化,路口整体通行效率与安全水平偏低。
改造方案:增设行人二次过街安全岛;设置地面导向文字标识;增设可变车道,适配潮汐车流变化;优化公交站台周边交通标线。

广运潭大道(玄武东路-广兴路段)
点位9:广运潭大道(玄武东路-广兴路段)
存在问题:广运潭大道路段现有通行能力不足,双向6车道的道路规模已无法满足当前日益增长的交通流量需求,导致高峰时段拥堵问题严重;局部路段存在明显瓶颈效应,车流交织频繁,道路整体通行效率低下,亟需通过拓宽改造提升道路通行容量与流畅度。
改造方案:将原有中间段双向6车道拓宽为双向8车道,扩大道路通行容量。

东长安街与神舟二路交叉口
点位10:东长安街与神舟二路交叉口
存在问题:东西向车道线形设计不合理,导致西向东方向车流通行受阻;北进口缺乏左转车道,东进口直行车道数量不足,无法满足车辆转向与直行通行需求;路口慢行交通设施不完善,人车通行冲突突出,整体通行效率与安全水平偏低。
改造方案:调整西向东方向车道线形,保障车流连续通行;在北进口增设左转车道,拓宽东进口直行车道;完善慢行交通隔离设施与行人过街设施。
“全民支招 畅行长安”开门治堵主题活动,还在持续开展中。如果您有意见建议需要反馈,可拨打热线电话:12123、1222.或发邮件至电子邮箱:xajjzxgh@163.com。
文/西安报业全媒体记者 张佳 图/西安公安交警提供
相关热词搜索: